स्कायमेटचा इशारा...धोकादायक चक्रीवादळ येणार!

    दिनांक :18-Oct-2025
Total Views |
नवी दिल्ली,
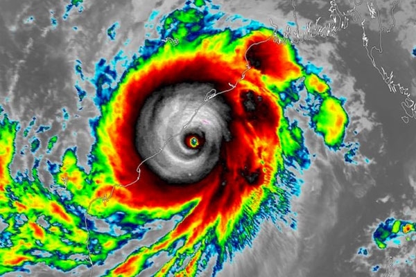
dangerous cyclone will arrive खाजगी हवामान अंदाज संस्था स्कायमेट वेदरने जारी केलेल्या ताज्या हवामान अहवालानुसार, आग्नेय अरबी समुद्रात एक धोकादायक चक्रीवादळ निर्माण होण्याची शक्यता आहे. अहवालानुसार, सध्या हा क्षेत्र कमी दाबात आहे आणि पुढील काही दिवसांत याची तीव्रता वाढू शकते. २० ऑक्टोबर २०२५ पर्यंत ही प्रणाली खोल कमी दाबात बदलण्याची शक्यता असून, दक्षिण-मध्य अरबी समुद्रातून पश्चिम-वायव्येकडे सरकण्याची अपेक्षा आहे. अनुकूल परिस्थितीत, ही प्रणाली उष्णकटिबंधीय वादळात रूपांतरित होऊ शकते.
 
 
dangerous cyclone will arrive
स्कायमेट वेदरच्या अहवालानुसार, जेव्हा ही प्रणाली दक्षिण-मध्य अरबी समुद्रात कमी दाबात बदलते, तेव्हा तिचा मार्ग, तीव्रता आणि वेळ अधिक स्पष्ट होईल. सध्या भारतीय किनाऱ्यापासून हे चक्रीवादळ खूप दूर असल्याने थेट धोका नाही, मात्र १८ ते २२ ऑक्टोबर दरम्यान केरळ, कर्नाटकची किनारी आणि कोकण-गोवा भागात हलका पाऊस, गडगडाटासह वादळे येऊ शकतात.
 
 
विशेष म्हणजे, या चक्रीवादळाचा मार्ग ऑक्टोबर २०२३ मध्ये तयार झालेल्या चक्रीवादळासारखा असण्याची शक्यता आहे. मागील वर्षी, २०२४ मध्ये मान्सूननंतर अरबी समुद्रात कोणतेही वादळ तयार झाले नव्हते. ऑक्टोबर २०२३ मध्ये, या चक्रीवादळाची तीव्रता २० ते २१ ऑक्टोबर दरम्यान वेगाने वाढून श्रेणी ३ मध्ये पोहोचली होती. ते वादळ सोमालिया आणि येमेनच्या किनाऱ्यांकडे सरकले, मात्र जमिनीवर येण्यापूर्वी कमकुवत झाले आणि २३ ते २४ ऑक्टोबर दरम्यान येमेनच्या अल-महराह प्रांतात पोहोचले.
 
 
तसेच, २२ ऑक्टोबरच्या सुमारास बंगालच्या उपसागरात आणखी एक कमी दाबाची प्रणाली तयार होण्याची शक्यता आहे. जर ती विकसित झाली, तर ती दक्षिण भारतातील द्वीपकल्पात पाऊस आणत राहील आणि येत्या काही दिवसांत ती अधिक मजबूत होऊ शकते. अरबी समुद्रातील ही प्रणाली हळूहळू चक्रीवादळात विकसित होईल, ज्यामुळे भारतीय किनाऱ्यांवर थेट परिणाम होणार नसला तरी दक्षिण भारतात पाऊस आणि गडगडाटासह वादळे सतत अनुभवायला मिळतील. या हवामान परिस्थितीमुळे समुद्री मार्गांवर आणि किनारपट्टीवरील लोकांसाठी सतर्कतेची आवश्यकता असल्याचे स्कायमेटने स्पष्ट केले आहे. लोकांना, विशेषतः समुद्रकिनारी राहणाऱ्यांना, अचानक पावसासाठी आणि वादळांसाठी सज्ज राहण्याचा इशारा देण्यात आला आहे.