हैद्राबाद,
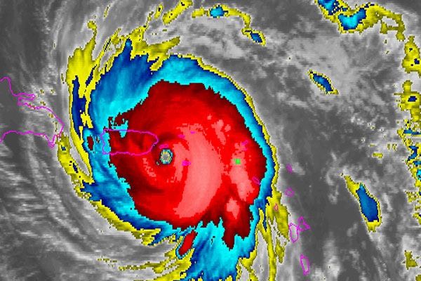
landfall-of-montha आंध्र प्रदेशच्या किनाऱ्याला चक्रीवादळ ‘मोंथा’ ने सायंकाळी जोरदार तडाखा दिला. ९० ते ११० किलोमीटर प्रतितास वेगाने वाहणाऱ्या वाऱ्यांमुळे किनारी भागात झाडे उन्मळून पडली, वीजपुरवठा खंडित झाला आणि अनेक भागांत मुसळधार पावसाने हाहाकार माजवला आहे. हवामान खात्याच्या माहितीनुसार, मोंथा सध्या काकीनाडा जवळील मछलीपट्टणम आणि कलिंगपट्टणम यांच्या दरम्यान भूभागावर धडकले आहे. पुढील ३ ते ४ तासांत वादळ पूर्णपणे किनारपट्टी ओलांडेल, असा अंदाज वर्तविण्यात आला आहे.
 
 
 चक्रीवादळाचा परिणाम वाढत चालल्याने आंध्र सरकारने सात जिल्ह्यांमध्ये आपत्कालीन स्थिती जाहीर करत वाहन वाहतूक बंदी आणि रात्रीची संचारबंदी लागू केली आहे. ही संचारबंदी रात्री ८:३० वाजेपासून सकाळी ६:०० पर्यंत राहणार असून, फक्त आपत्कालीन वैद्यकीय सेवांनाच परवानगी देण्यात आली आहे. ज्या जिल्ह्यांमध्ये वादळाचा सर्वाधिक परिणाम होणार आहे, त्यात कृष्णा, एलुरु, पूर्व गोदावरी, पश्चिम गोदावरी, काकीनाडा, डॉ. बी.आर. आंबेडकर कोनसीमा आणि अल्लुरी सीताराम राजू जिल्ह्यातील चिंतूर व रामपाचोडावरम भागांचा समावेश आहे. या भागांतील राष्ट्रीय महामार्गांवरही सर्व प्रकारच्या वाहनांच्या वाहतुकीवर बंदी घालण्यात आली आहे.
 
दरम्यान, केंद्रीय मंत्री अश्विनी वैष्णव यांनी रेल्वे विभागाला सतर्कतेचे आदेश दिले असून, पूर्व किनाऱ्यावर रेल्वेची ‘वॉर रूम’ सक्रिय करण्यात आली आहे. आंध्र प्रदेश, ओडिशा आणि तेलंगणामधील रेल्वे मार्गांवर विशेष लक्ष ठेवले जात आहे. नेल्लोर जिल्ह्यात मुसळधार पावसामुळे अनेक भागांत पूरसदृश परिस्थिती निर्माण झाली आहे. नाले तुडुंब भरून वाहत आहेत आणि काही ठिकाणी पाणी घरात घुसल्याच्या घटना समोर येत आहेत.
 
वादळाचा प्रभाव केवळ आंध्रपुरता मर्यादित नसून, चेन्नई आणि उत्तर तामिळनाडूमध्येही मुसळधार पावसाने जनजीवन विस्कळीत केले आहे. चेन्नईतील एन्नोर भागात तब्बल १३ सेंटीमीटर पाऊस, तर माधवरम, मनाली न्यू टाऊन, मेदावक्कम येथे ८ सेंटीमीटर पावसाची नोंद झाली. शहरातील अनेक सखल भागांमध्ये पाणी साचल्याने वाहतुकीची प्रचंड गैरसोय झाली आहे. गेल्या २४ तासांत उत्तर किनारी आंध्र प्रदेशात विक्रमी पावसाची नोंद झाली असून, विशाखापट्टणमच्या रुशीकोंडा भागात १२३ मिमी, रामबिल्ली (अनकापल्ली) येथे ९८ मिमी, पलासा (श्रीकाकुलम) येथे ८३ मिमी, आणि पिथापुरम (काकीनाडा) येथे मुसळधार पाऊस पडला आहे.
हवामान विभागाने पुढील काही तासांमध्ये आणखी तीव्र पावसाची शक्यता वर्तवली असून, नागरिकांना घराबाहेर न पडण्याचे आणि सुरक्षित ठिकाणी राहण्याचे आवाहन केले आहे. चक्रीवादळ मोंथाचा कहर अजून काही तास सुरू राहण्याची शक्यता असल्याने प्रशासनाने सर्व यंत्रणांना उच्च सतर्कतेवर ठेवले आहे.